KORTRIJK-WEVELGEM AIRPORT SAFETY BRIEFING
Introduction
Kortrijk Airport has developed an online airport safety briefing, in order to inform you of:
* The particularities of Kortrijk Airport and the surrounding airspace
* The changes since the introduction of the IFR PBN procedures.
* The changes since the introduction of Skeyes ANSP (AFIS and MET) services at EBKT
This briefing is mandatory for all pilots planning to fly to/from Kortrijk Airport.
Important: The personal flight preparation of any pilot intending to operate into Kortrijk Airport shall however go beyond the information contained in these pages, and shall be based on actual and updated official documents contained in the AIP.
KORTRIJK-WEVELGEM AIRPORT
General information
Runway Elevation: 62 ft Runway Orientation: 06/24 Type of traffic permitted: VFR/IFR ULM: only home-based (non-home based: PPR) Airspace Class: G (AFIS and MET services provided by Belgocontrol) |
Handling: mandatory for non-based aircraft >2T Contact handling FIA: info@fiahandling.be or +32 56 373434 Aircraft types permitted: ICAO aerodrome reference code 2B (If aerodrome reference code>2B: Higher Code Aircraft procedure available, 24H notice for PPR) |
LOCAL PARTICULARITIES OF KORTRIJK AIRPORT:
This safety briefing highlights the Kortrijk Airport local particularities.
- AIRSPACE & AFIS: Traffic information only, No ATC
- AIRSPACE & AFIS: RMZ/TMZ
- AIRSPACE & AFIS: Mix of IFR and VFR traffic
- IFR: PBN only
- IFR: Runway 24 only
- VFR: Separate traffic circuits
- VFR: Reporting Points
- Meteo observations
- Nearby obstacles
- Higher code aircraft procedure
1. AIRSPACE & AFIS: TRAFFIC INFORMATION ONLY
The airspace of EBKT airport is class G.
This means the airport is non-controlled (no ATC).
But aerodrome traffic information is given by an ANSP certified for AFIS at EBKT: SKEYES
Traffic monitoring, situational awareness and position reporting is very important.
2. AIRSPACE & AFIS: RMZ/TMZ
The airspace around Kortrijk airport is a Radio Mandatory Zone and a Transponder Mandatory Zone.
- Two way radio communication with Kortrijk Radio (120.250) is compulsory.
- An active transponder (Mode S or Mode C) is compulsory.
Please note that: For TCAS equipped aircraft, the use of the TCAS in Auto or TA/RA mode is also compulsory.
3. AIRSPACE & AFIS: MIXED IFR AND VFR OPERATIONS
At EBKT airport, both VFR and IFR operations are allowed.
Only one IFR at a time is allowed.
However, there can be multiple VFR aircraft in the circuit.
There are also a lot of instruction flights and student pilots.
Therefore, position reporting and good situational awareness are important.
4. IFR: PBN ONLY
An IFR PBN procedure is available for RWY 24.
Only One IFR movement at a time is allowed!
Currently, conventional IFR is not possible at EBKT.
Please note that crew, operator and aircraft should (all) be approved to fly PBN IFR procedures.
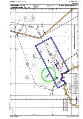
5. IFR: RWY 24 ONLY
For the moment, only for runway 24 an IFR procedure is available. (1 departure, 1 arrival)
For RWY 06, no IFR procedure is available yet. (it is under development)
When RWY 06 is in use, a landing/departure shall be VFR (with possible transition to/from IFR).
6. VFR: SEPARATE CIRCUITS
Note that there are separate VFR traffic circuits for airplanes <2T, helicopters and High-Performance aircraft >2T.
- The general aviation circuit is a Left hand circuit, at 1000? MSL.
- The helicopter circuit is a Right hand circuit, at 1000? MSL.
- High Perfomance aircraft (>2T) in VFR fly a separate circuit, always situated south of the field, at 1500? MSL.
Pilots shall also report “Lefthand downwind” or “righthand downwind”, “lefthand/righthand base” and “final”.
VFR flights are recommended not to fly overhead the field, when entering the RMZ via the mandatory entry reporting points. AFIS will provide pilots with aerodrome information.
VFR pilots should join beginning of downwind of their applicable circuit.
Straight-in is not allowed.
(click on charts to enlarge – not for operational use!)
7. VFR: REPORTING POINTS
To enter and leave EBKT airspace on a VFR flight, the use and reporting of the points "November 1", "Echo 1", "Sierra 1" or "Whisky 1" is mandatory.
The use of reporting points November 2, Echo 2, Sierra 2, Whisky 2 is not mandatory but recommended.
8. METEO:
No published meteo observations are available at Kortrijk airport.
A certified meteo observer (Belgocontrol) communicates the local meteo through “Kortrijk Radio”.
For flight planning purposes, the meteo observations of nearby airfields should be used. (EBOS, LFQQ, EBFN…)
9. OBSTACLES:
The nearby aerodrome EBMO (Moorsele Airfield) should be avoided due to parachuting activities and local flights.
When on the IFR procedure, have a sharp look-out for the paradrop aircraft!
There is a church close to the final approach paths of RWY 06 and of RWY 24.
10. HIGHER CODE AIRCRAFT PROCEDURE:
EBKT can accomodate – from time to time- aircraft higher than (ICAO aerodrome) reference code 2B.
A 24H notice is required to obtain the PPR.
The “Higher Code Aircraft” procedure states that no other movements are allowed during taxi, take-off and landing of the Higher Code Aircraft.















